スラウェシでの日々の出来事をつらつらと書いているだけのブログ。
×
[PR]上記の広告は3ヶ月以上新規記事投稿のないブログに表示されています。新しい記事を書く事で広告が消えます。
5月20日夕方~夜にかけて、UNHAS構内をお散歩しながら採集をしてみた。
材置き場に行くと、あのタマムシがいたので、パシャリ。

そのタマムシの付いている側とは反対側にゴミダマ。
その後、落としてしまって行方知れず。

ゴミダマ?の小さいやつ。たくさんいた。

ナガシンクイ科の一種。材の切り口に数匹付いてた。

ライトをちらっと見て回ると、カブト♀発見。ヒメカブトかな。

帰ってきてから撮影したやつ。
クチキムシダマシ科の一種。かなりたくさんいる。

チビキカワムシ科のハネカクシダマシの一種。ハネカクシダマシ類を初めて採集した。こいつもそこそこいた。

そして、デオキノコ。この種類はなぜか、ある一か所のキノコだけでしか採れていない。そのキノコ自体はどこにでも生えているのになぁ。陰になってるとことか掃除されてない場所とかいろいろ要因があるんだろうなぁ。

すごいぞ、UNHAS。もっとまじめに採集したらどんなんが採れるんだろう。
人の目がかなり痛いのでざっくり採集になってしまうんだよなぁ・・・。
材置き場に行くと、あのタマムシがいたので、パシャリ。
そのタマムシの付いている側とは反対側にゴミダマ。
その後、落としてしまって行方知れず。
ゴミダマ?の小さいやつ。たくさんいた。
ナガシンクイ科の一種。材の切り口に数匹付いてた。
ライトをちらっと見て回ると、カブト♀発見。ヒメカブトかな。
帰ってきてから撮影したやつ。
クチキムシダマシ科の一種。かなりたくさんいる。
チビキカワムシ科のハネカクシダマシの一種。ハネカクシダマシ類を初めて採集した。こいつもそこそこいた。
そして、デオキノコ。この種類はなぜか、ある一か所のキノコだけでしか採れていない。そのキノコ自体はどこにでも生えているのになぁ。陰になってるとことか掃除されてない場所とかいろいろ要因があるんだろうなぁ。
すごいぞ、UNHAS。もっとまじめに採集したらどんなんが採れるんだろう。
人の目がかなり痛いのでざっくり採集になってしまうんだよなぁ・・・。
PR
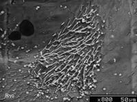
修論のときに、デオキノコの翅の裏側をSEMを使ってみてみたら、なんか棘のような突起のような毛束のようなものが、末端に存在することを見つけた。

たぶんに、大したことはない発見なのだが、とりあえず、この意味を調べてみたくて、デオキノコの上翅の片方だけを取り去るという実験をしてみた。
こっちに来て、大きなデオキノコ(Scaphidiumとか)を見つけられないので、しかたなしにScaphisoma(2mm前後)のものでチャレンジ。
のり(lem)を使って、肢を動かなくさせる。ちなみにこの“のり”瞬間接着剤とかじゃない。
どうにか、のりで足を固定したあと(動きを鈍くさせただけ・・・)、上翅の片方をなんとかしてピンセットで取り去った。むろん、虫は生きている。
そうすると、翅がびろーんと伸びきった状態のままになった(写真がうまくとれない・・)。

むむ。これは、やはり山迫さんが言ってたように後翅を固定する(伸びきらない)ための役割を担っているのではないだろうか。
調べてみると(たまたま後輩の村上君が持っていた翅についての文献から)、アリヅカムシでは、野村周平博士によって翅構造について詳しく書かれていて(野村、1997)、どうやらさきほどのものは、収納装置(後翅の固定装置)の一部のようだ。
SEMで示したものは、鱗状突起群と呼ばれているようで、上翅の末端部から上翅が出ないように、固定するための部位のようだ。
アリヅカムシは、腹節が固着していて動かせないので、上翅と腹部背面の構造が発達して、翅の出し入れや固定を行っているらしい。いわゆるハネカクシ達にはこの末端部の構造はないらしい。
修論のあとデオキノコムシの日本産全属(10属)だけだけど調べてみると、どのグループでも上翅の末端にこの構造物を持っていた(ちょっと突起の長さは変わるけど)。
ということは、このグループも何かしらの要因で、翅が飛び出ないような構造を持ったという事になるのだろう。
なんでかなぁ。腹部は別に固着してないはずなんだけどなぁ。
要検討だな。日本に帰って電顕使ってもっと詳しく翅の裏側と腹部背面の構造物の状態を確認しよう。
ちなみに、デオキノコは、ハサヌディン大学構内で得られたもので、解剖は、土壌の研究室 (ILMU TANAH)の実体顕微鏡を借りて行いました。
Agnes先生、Jayadi先生ありがとうございました。また、使わせてもらいます。
たぶんに、大したことはない発見なのだが、とりあえず、この意味を調べてみたくて、デオキノコの上翅の片方だけを取り去るという実験をしてみた。
こっちに来て、大きなデオキノコ(Scaphidiumとか)を見つけられないので、しかたなしにScaphisoma(2mm前後)のものでチャレンジ。
のり(lem)を使って、肢を動かなくさせる。ちなみにこの“のり”瞬間接着剤とかじゃない。
どうにか、のりで足を固定したあと(動きを鈍くさせただけ・・・)、上翅の片方をなんとかしてピンセットで取り去った。むろん、虫は生きている。
そうすると、翅がびろーんと伸びきった状態のままになった(写真がうまくとれない・・)。
むむ。これは、やはり山迫さんが言ってたように後翅を固定する(伸びきらない)ための役割を担っているのではないだろうか。
調べてみると(たまたま後輩の村上君が持っていた翅についての文献から)、アリヅカムシでは、野村周平博士によって翅構造について詳しく書かれていて(野村、1997)、どうやらさきほどのものは、収納装置(後翅の固定装置)の一部のようだ。
SEMで示したものは、鱗状突起群と呼ばれているようで、上翅の末端部から上翅が出ないように、固定するための部位のようだ。
アリヅカムシは、腹節が固着していて動かせないので、上翅と腹部背面の構造が発達して、翅の出し入れや固定を行っているらしい。いわゆるハネカクシ達にはこの末端部の構造はないらしい。
修論のあとデオキノコムシの日本産全属(10属)だけだけど調べてみると、どのグループでも上翅の末端にこの構造物を持っていた(ちょっと突起の長さは変わるけど)。
ということは、このグループも何かしらの要因で、翅が飛び出ないような構造を持ったという事になるのだろう。
なんでかなぁ。腹部は別に固着してないはずなんだけどなぁ。
要検討だな。日本に帰って電顕使ってもっと詳しく翅の裏側と腹部背面の構造物の状態を確認しよう。
ちなみに、デオキノコは、ハサヌディン大学構内で得られたもので、解剖は、土壌の研究室 (ILMU TANAH)の実体顕微鏡を借りて行いました。
Agnes先生、Jayadi先生ありがとうございました。また、使わせてもらいます。
この日は、Faibくんと約束していたsarabbaを飲みに行くことに。
もちろん、Faibくんのおごりで。ちなみに2人だけである。
Arauddin通りにあるお店に入る。看板に、でかでかとsarabbaと書いてあるのが印象的。

中に入って、sarabba telurとpisang goreng、ubi goreng(ほんとはubi ~という種類が書いてあったのだがおぼえていない)、ayam goreng+nasi kening、bakwanを注文。


写真左下のものがsarabba。しょうが(jahe)の風味が強い。
sarabbaは、以前にgorontaloに連れていってもらったときに飲んだことがあったので、心配なく飲む。
うん、おいしい。
pisang goreng(バナナ揚げ)もおいしかった。
そして、ubi。さつまいもなのかわからないが、すごく甘い芋だった。おいしい。
そして、初めて食べるbakwan。
一かじり。中には人参、もやしなどの野菜が入ってた。
野菜と小麦かな?を使って練ったものを揚げていて、日本でいうお好み焼きに味が似ていた。
すごくおいしい。今度は、一人で買いにこよう。
もちろん、ぶんくすで。
料理以外で、この店は、2つおもしろいことがあって、1つは、2階がカラオケボックスでかなりうるさいこと。
そして、もう一つは・・
店員におかまが多いことである。
Faibくんが、しきりにcawek-cawekというからなにかと思えば、マカッサル語でおかま(banci)のことを指すらしい。
たしかに、店員はどことなくKABAちゃんに似ていたなぁ。動きも女性っぽかったし。
その店員を呼ぶときは、mas(お兄さん)ではなくmbak(おねえさん)と呼ばなければいけないよとFaibくんに教えられた。
知るかよそんなん。ぶんくすするために、間違えてmasって呼ぶところだったじゃねーか。
と、おもしろいこともあって、Faibくんにおごってもらって、帰還することに。
明日は、ご飯おごってね、と帰り際に言われて、次の日もFaibくんとご飯を食べに行くことが決定。
何食べに行くのかなぁ。たのしみ。
もちろん、Faibくんのおごりで。ちなみに2人だけである。
Arauddin通りにあるお店に入る。看板に、でかでかとsarabbaと書いてあるのが印象的。
中に入って、sarabba telurとpisang goreng、ubi goreng(ほんとはubi ~という種類が書いてあったのだがおぼえていない)、ayam goreng+nasi kening、bakwanを注文。
写真左下のものがsarabba。しょうが(jahe)の風味が強い。
sarabbaは、以前にgorontaloに連れていってもらったときに飲んだことがあったので、心配なく飲む。
うん、おいしい。
pisang goreng(バナナ揚げ)もおいしかった。
そして、ubi。さつまいもなのかわからないが、すごく甘い芋だった。おいしい。
そして、初めて食べるbakwan。
一かじり。中には人参、もやしなどの野菜が入ってた。
野菜と小麦かな?を使って練ったものを揚げていて、日本でいうお好み焼きに味が似ていた。
すごくおいしい。今度は、一人で買いにこよう。
もちろん、ぶんくすで。
料理以外で、この店は、2つおもしろいことがあって、1つは、2階がカラオケボックスでかなりうるさいこと。
そして、もう一つは・・
店員におかまが多いことである。
Faibくんが、しきりにcawek-cawekというからなにかと思えば、マカッサル語でおかま(banci)のことを指すらしい。
たしかに、店員はどことなくKABAちゃんに似ていたなぁ。動きも女性っぽかったし。
その店員を呼ぶときは、mas(お兄さん)ではなくmbak(おねえさん)と呼ばなければいけないよとFaibくんに教えられた。
知るかよそんなん。ぶんくすするために、間違えてmasって呼ぶところだったじゃねーか。
と、おもしろいこともあって、Faibくんにおごってもらって、帰還することに。
明日は、ご飯おごってね、と帰り際に言われて、次の日もFaibくんとご飯を食べに行くことが決定。
何食べに行くのかなぁ。たのしみ。
日々、この国で生活するうちに、この国では、“ぶんくす(bungkus)”という習慣がふつうであることが分かってきた。
というか、日本でもやらんことはないがこの国はやりすぎな感がある。
そして、無駄にクオリティが高い。
少し、“ぶんくす”について紹介しようと思う・・というかしたい。
最近、ご飯を食べて、ビールを買って、帰って飲むより、やっぱりなんといってもご飯と一緒に飲みたいという気持ちが高まってきて、どうにか持ち帰りができないだろうかと考えた。
そしてこれが“ぶんくす”の始まりであった。
店に入って、よく見ると、ご飯やら何やらをお持ち帰りしている。
よくよく後で、慧子さんやインドネシア人の方に聞いてみると、“ぶんくす”といえば持って帰れるということを聞いた。
よし、よくわかんないけど、“ぶんくす”って言って買ってみよう。
近くのお店(warung)でAyam goreng lalapanとNasi uduk(ご飯をココナッツミルクで炊いたもの)の持ち帰りに挑戦。
[最近、このnasi udukにはまってる。安くて多くてうまいという3拍子揃ったご飯だと思う(お値段はRp. 3.000(30円))。]
そして、それぞれを1つづつ頼んだ後、
saya: ぶ、bungkus。mas: (?_?)。
やべぇ。伝わってないのか?そういえば、NhiniさんがTolong dibungkusといえばいいとか言ってたぞ。
saya: Tolong dibungkus。mas: (゜_゜) b。
よし、伝わった。
そして、これがぶんくす。

開くと、

すごい。綺麗にまとめられてる。
ちなみに、Roti canaiというインドのナンみたいなやつをぶんくすしたら、

カレーもぶんくすしてくれた。
液体でもなんでもオッケーなのか。すごいぞ。ぶんくす。
ということで、最近は、作るのも面倒だし、買ってもかなり安いので“ぶんくす”か店で食べている。
というか、日本でもやらんことはないがこの国はやりすぎな感がある。
そして、無駄にクオリティが高い。
少し、“ぶんくす”について紹介しようと思う・・というかしたい。
最近、ご飯を食べて、ビールを買って、帰って飲むより、やっぱりなんといってもご飯と一緒に飲みたいという気持ちが高まってきて、どうにか持ち帰りができないだろうかと考えた。
そしてこれが“ぶんくす”の始まりであった。
店に入って、よく見ると、ご飯やら何やらをお持ち帰りしている。
よくよく後で、慧子さんやインドネシア人の方に聞いてみると、“ぶんくす”といえば持って帰れるということを聞いた。
よし、よくわかんないけど、“ぶんくす”って言って買ってみよう。
近くのお店(warung)でAyam goreng lalapanとNasi uduk(ご飯をココナッツミルクで炊いたもの)の持ち帰りに挑戦。
[最近、このnasi udukにはまってる。安くて多くてうまいという3拍子揃ったご飯だと思う(お値段はRp. 3.000(30円))。]
そして、それぞれを1つづつ頼んだ後、
saya: ぶ、bungkus。mas: (?_?)。
やべぇ。伝わってないのか?そういえば、NhiniさんがTolong dibungkusといえばいいとか言ってたぞ。
saya: Tolong dibungkus。mas: (゜_゜) b。
よし、伝わった。
そして、これがぶんくす。
開くと、
すごい。綺麗にまとめられてる。
ちなみに、Roti canaiというインドのナンみたいなやつをぶんくすしたら、
カレーもぶんくすしてくれた。
液体でもなんでもオッケーなのか。すごいぞ。ぶんくす。
ということで、最近は、作るのも面倒だし、買ってもかなり安いので“ぶんくす”か店で食べている。
